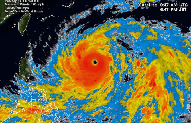
Japan se priprema za supertajfun Vongfong, koji je krenuo sjeverno od ostrva Okinava. Očekuje se da će tajfun to područje pogoditi kasno u subotu ili rano u nedjelju.
Japanska meterološka agencija (JMA) tvrdi kako je riječ o najvećoj oluji ove godine.
Nuklearne elektrane na ostrvima Kjuši i Šikoku obustavile su rad. "Vongfong" dolazi samo nedjelju dana nakon tajfuna "Fanfone", koji je ubio sedmoro ljudi, a stotine hiljada ljudi je evakuisano.

Komentari