Ebola prijeti svjetskoj proizvodnji čokolade
Obala Slonovače, najveći svjetski proizvođač kakaoa, zatvorila je granice prema ebolom ...
Obala Slonovače, najveći svjetski proizvođač kakaoa, zatvorila je granice prema ebolom ...
Zvaničnik južnoafričkog zatvora predložio je Visokom sudu Pretorije da paraolimpijac Os...
Eksperimentalna vakcina protiv ebole kanadske proizvodnje koja je obećavala tokoma test...
Vazdušni udari koalicionih snaga neće biti dovoljni da ekstremisti ID budu poraženi, iz...
Zdravstvene vlasti Ugande saopštile su danas da nastavljaju da prate stanje petoro osob...
Srbija će pomoći obnovu Palestine sa 50.000 dolara.
Ostrvce Niue u Južnom Pacifiku, koji se nalazi 2.400 kilometara sjeveroistočno od Novog...
Džihadisti Islamske države objavili su četvrti propagandni video snimak, na kojem brita...
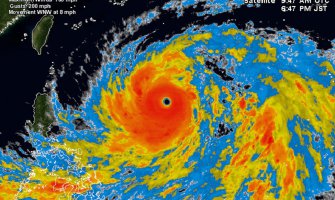
Tajfun "Vongfong", najjača oluja u Japanu ove godine, stigao je do centralnog japanskog...
Desetine maskiranih osoba nasrnule su danas na barikade na mjestu na kom se održavaju ...
Broj otvorenih novih radnih mjesta u SAD u avgustu je porastao na 4,835 miliona, prema ...
Džihadisti Islamske države objavili su četvrti propagandni video snimak, na kojem brita...
Međunarodni donatori obećali su danas stotine miliona dolara pomoći za obnovu nedavnim ...
Na jugu Tajlanda, gdje uglavnom živi muslimansko stanovništvo, zapaljeno je šest državn...
Kurdski borci uspjeli da zaustave napredovanje džihadista Islamske države u gradu Koba...
Članice MMF ocijenile su da se svjetska privreda poslije krize oporavlja slabije nego š...
Državni sekretar SAD Džon Keri najavio je danas na donatorskoj konferenciji u Kairu da ...
Lider Hong Konga Leung Čun-Jing poručio je danas da neće podnositi ostavku kako to traž...
Američki ministar odbrane Čak Hejgel rekao je u Santjagu da će borba protiv džihadista ...
Generalni sekretar UN Ban Ki Mun danas je doputovao u iznenadnu posjetu libijskoj prije...
Ekstremistička organizacija Islamska država objavila je propagandni video klip na kojem...
Skrining program koji će provjeravati tjelesnu temperaturu putnika iz zapadne Afrike, p...
Američka vojska izvela u petak i subotu šest vazdušnih napada na ciljeve ID u blizini p...
U Kairu su danas stigli palestinski predsjednik Mahmoud Abbas, premijer Palestine Rami ...
Snimak ajkule sa širom razjapljenim čeljustima i oštrim zubima postao je hit na interne...
Unapređen program za proveru temperature putnika koji dolaze iz Zapadne Afrike počeo je...
Najmanje 20 osoba je povrijeđeno u nevremenu koje je stiglo na ostrvo Okinava pred dola...
Najmanje deset osoba smrtno je stradalo usljed slijetanja putničkog autobusa u rijeku N...
Ekstremisti Islamske države (IS) javno su pogubili snimatelja lokalne iračke televizije...
Amerikanka koja je zbog lažnog svjedočenja potkazivača osuđena na doživotni zatvor i 17...
Briga o jednom djetetu koje ima grip može da bude iscrpljujuće, ali ova hrabra žena je ...
Između Sjeverne i Južne Koreje danas je došlo do razmjene vatre, nakon što je iz Sjever...
Borci Islamske države (IS) napredovali su dublje u sirijski grad Kobani, dok je izasla...
Šef aviokompanije Emirejts Tim Klark smatra da postoji mnogo nelogičnosti oko nestanka ...
Nobelova nagrada za mir 2014. dodijeljena je pakistanskoj djevojčici Malali Jusafzaj i ...
Svjetska zdravstvena organizacija upozorila je da se epidemija ebole ubrzava i da se vi...
Tajfun "Vongfong" kreće se brzinom od 259 kilometara na sat, a Japanska meteorološka ag...
Studenti u Hong Kongu najavili su danas da ne odustaju od protesta, pošto je gradska Vl...
Bivši predsjednik Sovjetskog saveza, Mihail Gorbačov (83) nalazi se u bolnici, ali kaže...
Najmanje 70 ljudi poginulo je danas u dva samoubilačka napada u Jemenu, od kojih je jed...
Napredovanje Islamske države(IS) u pograničnom sirijskom gradu Kobaneu je tragedija, al...
Epidemija ebole u zapadnoj Africi je najveći zdravstveni izazov od pojave virusa HIV i ...
Hamdallah je prilikom prve posjete Gazi dao obećanje da će vlada učiniti sve potrebno k...
Ruski predsjednik Vladimir Putin izjavio je da je na rođendan prepješačio skoro devet k...
Jedna osoba je poginula a trinaest ih je ranjeno kada je ispred jednog noćnog kluba u K...
U sirijskom gradu Kobaneu, mahom nastanjenom Kurdima, ne prestaju žestoki okršaji sa p...
Organizacija Islamska država preuzela je odgovornost za eksploziju prošle noći u Francu...
Najmanje 12 osoba je poginulo, a 30 njih se vode kao nestali u potonuću broda u otvoren...
Radnici u skladištima Amazona nemaju ni izbliza dobre uslove kao svoje kolege u odijeli...
Tijela umrlih od ebole ostavljena su da leže po ulicama u Sijera Leoneu zbog štrajka ra...
Američka društvena mreža Tviter (Twitter) podnijela je tužbu protiv američkog ministars...
Irački zvaničnici u Bagdadu saopštili su danas da su pripadnici ekstremističke Islamske...