Dubai: Požar u kuli Torč
Stotine ljudi evakuisane su u Dubaiju kada je izbio požar približno dva sata posle ponoći po lokalnom vremenu u jednoj od najviših stambenih zgrada u svijetu, "Torč" (The Torch), javio je danas Rojters.
Stotine ljudi evakuisane su u Dubaiju kada je izbio požar približno dva sata posle ponoći po lokalnom vremenu u jednoj od najviših stambenih zgrada u svijetu, "Torč" (The Torch), javio je danas Rojters.
Serijski silovatelj Albert Morake (35) osuđen je juče na kaznu zatvora od 1.535 godina, nakon što je proglašen krivim za silovanje 29 žena, odlučio je sud u Johanesburgu.
Veče je. Sedite kod kuće i upravo vam se najavalila prijateljica da će svratiti na kafu i trač partiju. Vi nemate ništa slatko, a ipak kada su ovakva druženja u pitanju, deserti su više nego poželjni.
Suhomesnati proizvod, kobasice "Sankcije" odgovor su ruske male privrede na evropske sankcije. Prave se od mesa proizvedenog u Rusiji i namijenjene su samo ruskom tržištu.
Pogledajte kako izgleda kada beba odluči da "pomogne" mami, nema šanse da vas ne nasmije!
Nova žrtva skrivene kamere u emisiji “Fantastik šou” bio je pjevač Darko Lazić, kome je smestila supruga, pjevačica Ana Sević, prenosi portal Alo.
Zahvaljujući velikim količinama vitamina c, ova egzotična voćka odlična je za jačanje imuniteta i u odbrani od respiratornih infekcija i zato je najbolji izbor u hladnim danima.
Većina recepata traži da se hrana posoli prije kuvanja ili na njegovom samom početku umjesto na kraju. Da li ovaj zahtjev ima smisla, ili je u pitanju nešto sasvim drugo?
Sasvim običan dan, šetnja zaljubljenog para i naravno fotografisanje. No, ono što je ova djevojka doživjela tokom izlaska je jako romantično. Naime, njen momak zaprosio je na do sada neviđen način, prenosi bosanski Avaz.
Nećete vjerovati koliko je lako napraviti gumene bombone sa ukusom kole. Potrebna su vam samo dva sastojka – želatin u prahu i koka-kola.
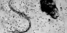
Svake sekunde naše tijelo se tiho bori protiv infekcija i bolesti. Ovaj moćni proces prvi put je zabilježen na timelapse snimku i otkriva koliko su agresivna naša bijela krvna zrnca, prenosi b92.
Iako je poznata kao simbol perfekcije, poznata pjevačica Bijonse je još samo jedna obična dama koja ima svoje mane i vrline.
NATO presretači u stopu su pratili let ruskog aviona Tupoljev-95 u Saratovskoj oblasti u Rusiji, javlja ruska TV Zvezda.
Ako je suditi po snimku koji nam stiže iz Kazahstana, tamošnja zimska služba očigledno voli svoj posao jer su osmislili sistem čišćenja autoputa koji im omogućava beskonačno radno vrijeme.
Mišići ruku su vam se opustili i niste zadovoljni njihovim izgledom? Postoji nekoliko vježbi koje su sjajne za opuštenu kožu ruku koja nikako ne izgleda lijepo.
Reakcije su podijeljene - nekima izgledaju zastrašujuće, ali većini se dopadaju - kaže dr Čandrašekar Čavan koji je izumio ova neobična kontaktna sočiva
Odbor za rodnu ravnopravnost Skupštine Crne Gore i NVO NOVA Centar za feminističku kulturu, uz partnere iz medija, sprovode kampanju “Muška liga protiv nasilja nad ženama“.
Greške se dešavaju, pogotovo onima koji rade. Jedna takva greška potkrala se američkoj tv stanici Fox 5 Njuz iz San Dijega.
Vjerujemo da se do sada niste sreli s jednostavnijim receptom za palačinke. Sastoje se samo od jaja i banana, ne sadrže mliječne proizvode, gluten ni šećer, pa su tako i odlične za vašu liniju. Pored svega toga, pripr...
Brojne pripadnice ljepšeg pola bile su oduševljene izvođenjem baletskog igrača Sergeja Polunjina u najnovijem spotu muzičara Hoziera za pjesmu "Take me to Church".
Pripadnici Islamske države vozeći pik-ap i mašući crnim zastavama zaustavljaju vozilo pored jednog automobila i pitaju za put ka Jerusalimu.